新/熱帶低壓TD04生成!日本氣象廳發烈風警報
2026-04-09
HaiPress

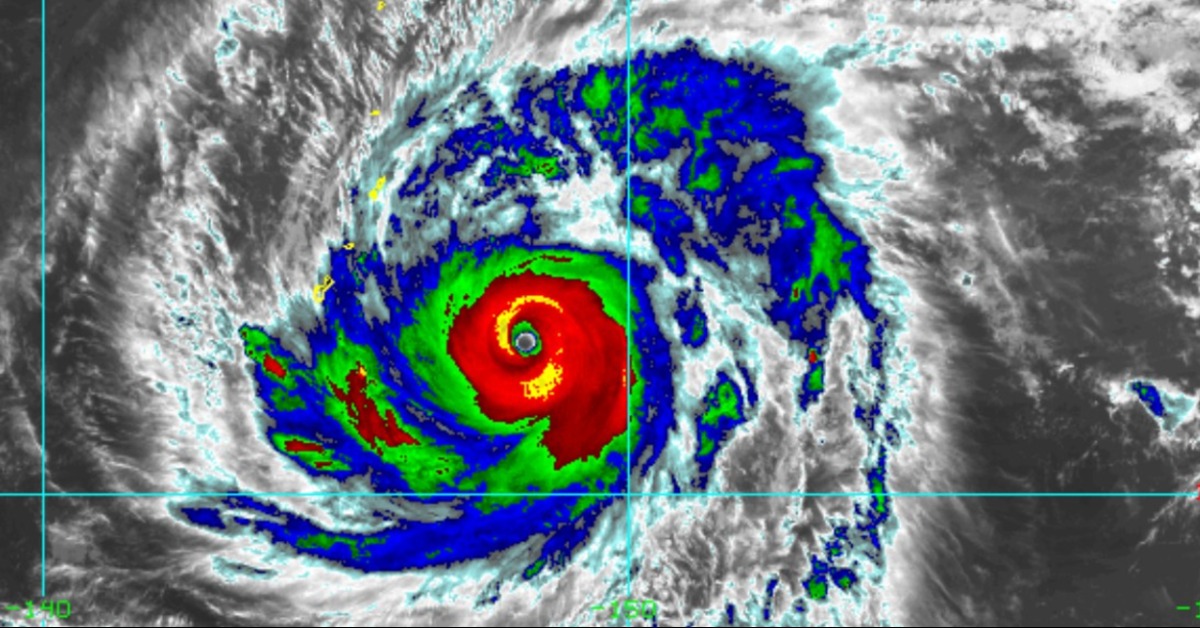
熱帶低壓TD04生成。(圖/氣象署)
原本位於關島東南方低緯度海面的熱帶擾動90W,今(8)日晚間生成為熱帶低壓TD04。氣象署說明,TD04今日20時的中心位置在北緯8.2度,東經154.6度,以每小時7公里速度向南南西進行。中心氣壓1004百帕,近中心最大風速每秒12公尺,瞬間最大陣風每秒20公尺。
日本氣象廳針對該熱帶低壓發布烈風警報,預估TD04將在24小時內成為今年第4號「辛樂克」颱風。氣象粉專「台灣颱風論壇|天氣特急」指出,TD04未來幾天將逐漸增強為「辛樂克」颱風,各國模式大多認為辛樂克形成後會北轉,預估對台灣及日本均無影響。


免責聲明:本文轉載自其它媒體,轉載目的在於傳遞更多信息,並不代表本網贊同其觀點和對其真實性負責,亦不負任何法律責任。本站所有資源全部收集於互聯網,分享目的僅供大家學習與參考,如有版權或知識產權侵犯等,請給我們留言。
